Saltar menú de navegación Teclas de acceso rápido
Internacionales Estados Unidos

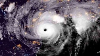
El poderoso huracán Harvey tocó tierra en Texas como un "peligro mortal"

El pronóstico mantiene al huracán en el estado hasta mediados de la semana próxima, y esa lentitud de su movimiento sólo exacerba la lluvia torrencial y la amenaza de inundaciones.

26 de Agosto de 2017

El pronóstico mantiene al huracán en el estado hasta mediados de la semana próxima, y esa lentitud de su movimiento sólo exacerba la lluvia torrencial y la amenaza de inundaciones.

El ojo del huracán Harvey tocó tierra hoy en Texas, estado al que amenaza con "inundaciones catastróficas" que representan un "peligro mortal", informó el Centro Nacional de Huracanes (CNH).

 

 

Harvey, de categoría 4, tocó tierra en la localidad de Rockport (30 millas al noreste de Corpus Christi) sobre las 22.00 hora local (23.00 ET), con vientos máximos sostenidos de 130 millas por hora.

 

 

<blockquote class="twitter-tweet" data-lang="es"><p lang="es" dir="ltr">Enorme el ojo del Mega <a href="https://twitter.com/hashtag/Hurac%C3%A1n?src=hash">#Huracán</a> <a href="https://twitter.com/hashtag/Harvey?src=hash">#Harvey</a> categoría 4 golpeando a <a href="https://twitter.com/hashtag/Texas?src=hash">#Texas</a> <a href="https://t.co/KZo64iybQT">pic.twitter.com/KZo64iybQT</a></p>&mdash; #Jan_Herzog_2018 ! (@Jan_Herzog) <a href="https://twitter.com/Jan_Herzog/status/901380647566139393">26 de agosto de 2017</a></blockquote>

<script async src="//platform.twitter.com/widgets.js" charset="utf-8"></script>

 

 

 

"Aunque Harvey haya tocado tierra, el peligro por lluvias tan solo acaba de empezar", apuntó el CNH en un comunicado en el que reiteró el "peligro mortal" que supondrán las inundaciones para la costa central y norte de Texas.

 

De categoría 4 en la escala de intensidad de Saffir-Simpson, de un máximo de 5, Harvey es el huracán más potente que toca tierra en Estados Unidos desde el mortífero Katrina, en 2005.

 

El Centro Nacional de Huracanes dijo que espera "inundaciones catastróficas y con riesgo de vida" en la zona media y superior de la costa texana, debido a la lluvia torrencial que seguirá cayendo. Se podrían acumular entre 15 y 30 pulgadas (38 a 76 centímetros) "con extremos aislados de 40 pulgadas (más de 1 metro)" hasta el miércoles.

 

Se estima que unos 5,8 millones de personas están en el recorrido del huracán Harvey. También el centro neurálgico de las operaciones de refinería petrolera de los Estados Unidos: ese impacto ya se sintió en el aumento de la gasolina.

 

Las preocupaciones principales son las oleadas de la tormenta y las inundaciones, ya que se espera que el fenómeno meteorológico permanezca durante días. Se podrían acumular unas 25 pulgadas (63 centímetros) o más de lluvia en algunas áreas. En algún momento se espera que la tormenta se dirija a Houston, la cuarta ciudad más grande del estado, que es proclive a las inundaciones.

 

El Servicio Nacional Meteorológico informó que algunos techos se despegaron en las zonas de Corpus Christi y Rockport. Hay informes de edificio que se desmoronaron, con personas atrapadas en su interior.

 

David Yeomans, el meteorólogo del canal de tv KXAN, mostró las daños en el hotel donde se alojaba el equipo periodístico.

 

Las primeras lluvias llegaron a Austin, y las más intensas se instalarán mañana por la mañana hasta el lunes.

 

 

<blockquote class="twitter-tweet" data-lang="es"><p lang="en" dir="ltr">Oh boy ? looks like a ton of rain is about to unload. Here's a prayer for family, friends &amp; everyone in <a href="https://twitter.com/hashtag/HurricaneHarvey?src=hash">#HurricaneHarvey</a>'s path--stay safe. <a href="https://t.co/r1LM1kwCXw">pic.twitter.com/r1LM1kwCXw</a></p>&mdash; Jack Fischer (@Astro2fish) <a href="https://twitter.com/Astro2fish/status/901033577319718912">25 de agosto de 2017</a></blockquote>

<script async src="//platform.twitter.com/widgets.js" charset="utf-8"></script>

Las autoridades solicitaron a la población de Corpus Christie ?la ciudad más grande cerca del punto de entrada del huracán?, que hiervan el agua antes de consumirla, ya que no está garantizado el proceso de potabilización.

 

Durante el día los texanos de la costa en peligro recibieron la instrucción de evacuar la zona, mientras que los millones de habitantes del área de Houston recibieron indicaciones contradictorias sobre si salir o ponerse a resguardo y no moverse.

 

El pronóstico mantiene al huracán en el estado hasta mediados de la semana próxima, y esa lentitud de su movimiento sólo exacerba la lluvia torrencial y la amenaza de inundaciones.

 

Los hoteles del condado de Fayette están llenos de habitantes de los territorios costeros que buscaron refugio del Huracán Harvey. Auque las personas siguen llegando (muchas familias enteras, con víveres) hotles como la cadena Best Western informaron que deben rechazarlas.

 

El Centro Nacional de Huracanes advirtió que, tras la llegada a tierra de Harvey, está en efecto un Alerta de Oleaje en buena parte de la costa de Texas. El oleaje causado por la tormenta podría llegar a más de 10 pies (3 metros) en la franja entre Port Aransas y Port O'Connor. Debido al lento momiviento del huracán, la marea y los niveles del agua se mantendrán elevados durante días.

 

El alcalde de Houston, Sylvester Turner, dijo que esto es sólo el comienzo y solicitó que la gente evite el sentimiento de seguridad llamado "fatiga de la tormenta", por la cual podría comenzar a salir el domingo, y se pondría en peligro sin advertirlo. "Sería el peor momento para hacerlo, probablemente. La gente va a tener que ser muy, muy paciente. Es probable que lo peor de la lluvia nos llegue el domingo, el lunes o posiblemente el martes".

 

Aunque los meteorólogos del CNH preveían que Harvey tocase tierra como huracán de categoría 3 en la escala de intensidad de Saffir-Simpson, de un máximo de 5, el huracán se fortaleció a 4 horas antes de llegar a Texas.

 

Wilma fue el último huracán que golpeó territorio estadounidense como huracán mayor (categoría 3), cuando en octubre del año 2005 azotó la costa suroeste de Florida y atravesó la península, donde dejó daños por 16.800 millones de dólares y cinco víctimas mortales, para un total de 22 fallecidos.

 

Ike (2008) tocó tierra sobre el extremo norte de la isla de Galveston en en la mañana del 13 de septiembre con vientos máximos de 110 millas por hora y generó devastadoras marejadas ciclónicas e inundaciones en la península de Bolívar y el oeste de Luisiana y oeste de Arkansas.

 

Un total de 22 personas perdieron la vida entonces y 34 fueron dadas por desaparecidas, con daños estimados en 19.300 millones de dólares.

Seguí las noticias de Elonce.com en Google News Seguinos en Google News

Comentarios

Tu comentario ha sido enviado, el mismo se encuentra pendiente de aprobación... [X]
Avatar
600
Avatar
ver más
El comentario se encuentra deshabilitado

Denunciar comentario

Spam o contenido comercial no deseado Incitación al odio o a la violencia, o violencia gráfica Acoso o bullying Información errónea
Cancelar Denunciar
Reportar Responder
Tu comentario ha sido enviado, el mismo se encuentra pendiente de aprobación... [X]
Avatar
600
Respuestas
Ver más respuestas
Ver más comentarios
IMPORTANTE: Los comentarios publicados son exclusiva responsabilidad de sus autores Elonce.com se reserva el derecho de eliminar aquellos comentarios injuriantes o discriminadores.

Teclas de acceso