Saltar menú de navegación Teclas de acceso rápido

Alerta máxima en México por la llegada del huracán Erick: alcanzó la categoría 4

El huracán se intensificó rápidamente en el Pacífico y amenaza con impactar en las próximas horas. Oaxaca y Guerrero, en estado de emergencia. Creció en muy poco tiempo, con temperaturas elevadas.

19 de Junio de 2025
Alerta máxima en México por la llegada del huracán Erick.
Alerta máxima en México por la llegada del huracán Erick.

El huracán se intensificó rápidamente en el Pacífico y amenaza con impactar en las próximas horas. Oaxaca y Guerrero, en estado de emergencia. Creció en muy poco tiempo, con temperaturas elevadas.

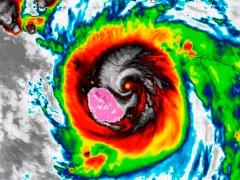
Las costas mexicanas del Océano Pacífico viven horas críticas este jueves por la mañana ante la inminente llegada del Huracán Erick que ascendió a categoría 4 en menos de un día.

 

El ciclón, uno de los primeros de esta temporada, se intensificó en muy poco tiempo y atravesó gran parte del Pacífico con temperaturas elevadas. Durante la mañana del miércoles la categoría era de nivel 1.

 

En los diferentes videos se percibe cómo los poderosos vientos y el fuerte oleaje destruyen locales, derriban árboles y generan inundaciones repentinas.

 

Los estados de Oxaca y Guerrero se encuentran en máxima alerta por el aviso metodológico que prevé que el huracán toque tierra en las primeras horas de la mañana de este jueves. Los habitantes, que recuerdan los destrozos causados por los huracanes Otis y John, aguardan el impacto de Erick con gran preocupación.

Rachas de hasta 275 Km/h

El Servicio Meteorológico Nacional de México informó que el ciclón registró vientos sostenidos constantes de 230 km/h, con rachas devastadoras de hasta 275 kilómetros por ahora. Los mapas mostraron un ojo bien definido y un entorno de tormentas severas.

 

La autoridades reforzarán las medidas preventivas en las costas mexicanas ante la inminente llegada del huracán que podría dejar graves inundaciones y deslizamientos peligrosos para la vida humana. En esta temporada se esperan alrededor de 37 huracanes entre el Pacífico y el Atlántico. (Con información de La Nacion)

Temas:

Huracán México
Seguí las noticias de Elonce.com en Google News Seguinos en Google News

Comentarios

Tu comentario ha sido enviado, el mismo se encuentra pendiente de aprobación... [X]
Avatar
600
Avatar
ver más
El comentario se encuentra deshabilitado

Denunciar comentario

Spam o contenido comercial no deseado Incitación al odio o a la violencia, o violencia gráfica Acoso o bullying Información errónea
Cancelar Denunciar
Reportar Responder
Tu comentario ha sido enviado, el mismo se encuentra pendiente de aprobación... [X]
Avatar
600
Respuestas
Ver más respuestas
Ver más comentarios
IMPORTANTE: Los comentarios publicados son exclusiva responsabilidad de sus autores Elonce.com se reserva el derecho de eliminar aquellos comentarios injuriantes o discriminadores.

Teclas de acceso